



Wet weekend - Tropical Weather Update for Oct. 3
Alysha Bayens talks to Daytona Beach News-Journal Environment writer Dinah Pulver about the wet weekend we just had and what it means for river levels in the area still flooded from Hurricane Irma.

More flooding to come - Tropical Weather Update for Sept. 28
A disturbance below Cuba threatens to bring more water to an already flooded St. Johns River. Alysha Bayens and News-Journal environment writer Dinah Pulver talk about what could mean for our area.

Tropical Storm Update Sept. 21, 2017
Alysha Bayens with The Daytona Beach News-Journal interviews Matt Volkmer about the effects of Hurricane Maria on the Volusia-Flagler coastline, and what sort of rough surf we can expect this weekend.

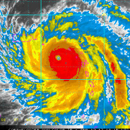
Tropical Storm Update - Irma's Broken Records
Not only did Hurricane Irma hit hard, it broke quite a few records doing so. Alysha Bayens talks to The Daytona Beach News-Journal's environment writer Dinah Voyles Pulver about where Irma stands in the history of hurricanes and how long recovery might take.

Tropical Storm Update, Sept. 15, 2017
Alysha Bayens with The Daytona Beach News-Journal talks to National Weather Service meterologist Tony Cristaldi and Shawn Milrad, a professor of meteorology at Embry-Riddle Aeronautical University, about the two disturbances starting to form in the Atlantic just days after Hurricane Irma brought wi…